随着微小塑料颗粒对人体健康影响的关注升温,澳大利亚弗林德斯大学研究人员牵头开展了一项实验室研究,评估纳米塑料是否可能在肾脏这一主要血液过滤器官中累积或造成损伤。相关成果已发表于《细胞生物学与毒理学》(Cell Biology and Toxicology)。研究团队呼吁进一步调查长期风险,并提示在高纳米塑料颗粒“负荷”情况下,肾细胞健康与功能可能受到显著影响。
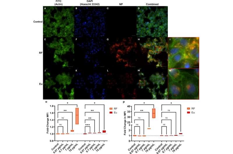
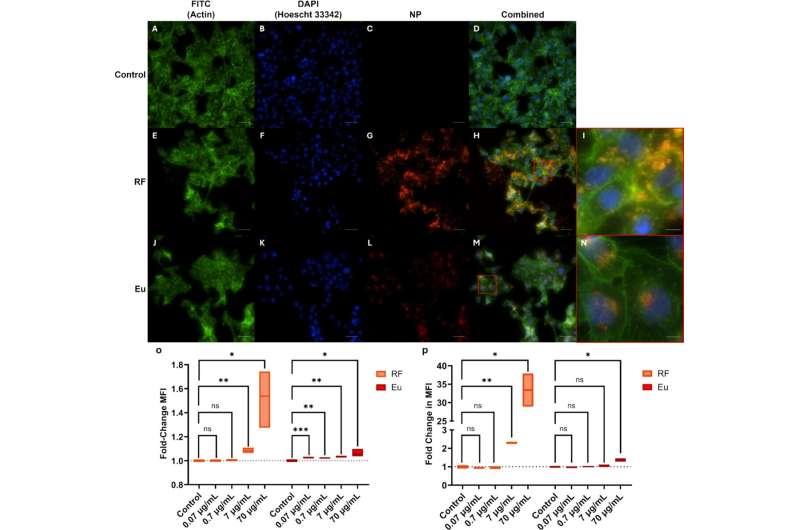
研究第一作者、弗林德斯大学“纳米塑料与健康”博士候选人海登·吉林斯(Hayden Gillings)表示,结果显示直径小于1微米(0.001毫米)的纳米塑料在较低浓度、短期暴露条件下,可能不会对肾细胞产生即时毒性;但当颗粒负荷升高时,细胞整体健康与功能会受损,细胞形态、生存以及调控过程出现变化。
吉林斯同时指出,影响并不只取决于浓度,还与聚合物组成和颗粒大小相关;在某些聚合物与粒径组合下,即便剂量相对较低,也可能引发明显的细胞变化。

该研究测试了不同浓度与尺寸的纳米塑料对肾细胞的影响,所用纳米塑料来自常见聚合物,包括聚苯乙烯(PS)、聚甲基丙烯酸甲酯(PMMA)和聚乙烯(PE)。研究获得莫纳什大学医学科学家,以及弗林德斯大学医学院与公共卫生学院的支持。
研究团队表示,若调节肾细胞的损伤持续或反复发生,可能削弱肾功能,降低过滤效率与清除能力,并带来纳米塑料在肾组织中潜在累积的风险。鉴于相关塑料在环境中普遍存在,研究强调有必要开展更贴近现实环境的长期研究,系统评估浓度、颗粒尺寸、聚合物类型及化学添加剂等因素的影响。
弗林德斯大学ARC未来学者、马修·弗林德斯化学研究员梅兰妮·麦格雷戈(Melanie McGregor)副教授补充称,后续研究还应覆盖更广泛的生物学结局,包括潜在DNA损伤及长期功能后果,以更全面评估环境纳米塑料对肾脏健康及全身暴露的风险。

麦格雷戈同时表示,随着塑料废弃物水平上升,塑料在陆地、海洋和空气中分解,推动微塑料(小于5毫米)与纳米塑料污染增加。她指出,数百万吨微塑料可进一步分解为更小的纳米塑料颗粒,并可能伴随化学物质泄漏;应采取更严格措施,减少化学物质和污染物(如挥发性有机化合物及微纳塑料)在生产和使用后进入环境、食物链和生物体。
澳大利亚肾脏健康组织的数据显示,约270万澳大利亚人出现肾病迹象,约相当于每7名18岁以上成年人中就有1人。该组织指出,糖尿病、高血压及其他疾病可能降低肾功能,导致体内废物积累并对健康产生不利影响。
